
رام الله- صدى نيوز- دعا حاكم فلوريدا الأميركية ريك سكوت سكان الولاية إلى إخلائها في أسرع وقت ممكن إذا ما تمت مطالبتهم بذلك في مواجهة إعصار إرما.
وقال حاكم فلوريدا: "إن هذه عاصفة كارثية لم تشهدها ولايتنا من قبل ..يمكننا إعادة بناء بيوتكم ولكن لا يمكننا إعادة بناء حياتكم..اليوم يجب أن تفعلوا الشيء الصحيح لأجل أسركم، اذهبوا إلى داخل البلاد حيث بر الأمان".
وصدرت أوامر بالإخلاء في جزء كبير من الجزء الجنوبي من الولاية، حيث تزدحم الطرق بالسيارات المتجهة شمالا.
عمليات إجلاء في كوبا
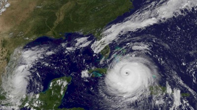
وبدأت رياح الإعصار إرما القوية في الهبوب على شرق ووسط كوبا، حيث تم إجلاء أكثر من مليون شخص من منازلهم كإجراء وقائي.
وبحسب حصيلة أعدتها وكالة فرانس برس استنادا لأرقام الدفاع المدني الكوبي، غادر قرابة مليون شخص منازلهم في هذه المناطق كإجراء وقائي، سواء للإقامة عند أقارب لهم في مناطق آمنة أو في ملاجئ حكومية.
ومن المتوقع أن تتجنب هافانا الأسوأ إذ تعتبر خارج نطاق الخطر بحسب مسار الإعصار الحالي، لكن تم وضعها في نطاق إنذار الإعصار كإجراء وقائي.